Hurricane Melissa Targets Jamaica as Year’s Strongest Storm Approaches

ago 3 hours
Hurricane Melissa Targets Jamaica as Year’s Strongest Storm Approaches

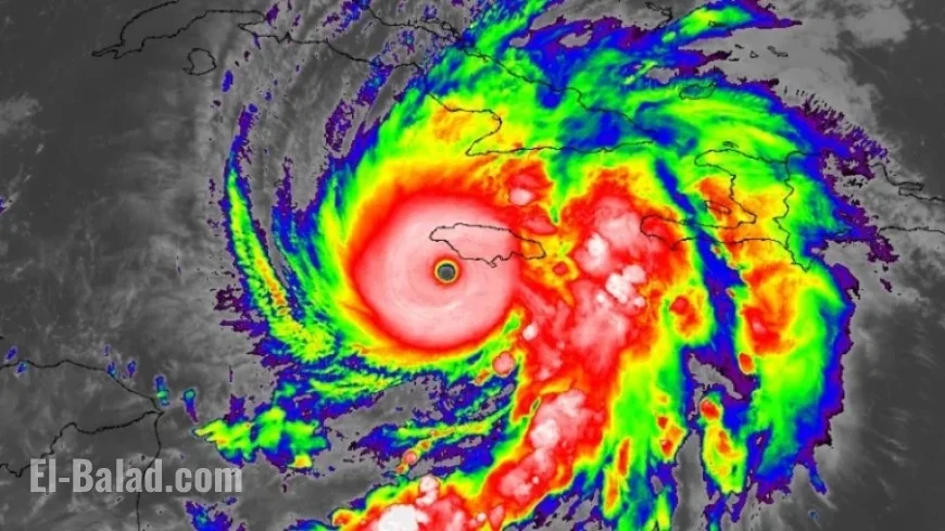
Hurricane Melissa is making headlines as it moves toward Jamaica, gaining speed and intensity. This Category 5 hurricane is on track to potentially cause significant damage across the region.

Hurricane Melissa’s Current Status

As of this morning, Hurricane Melissa is traveling north-northeast at a speed of 7 mph. Residents are bracing for landfall, which is expected shortly.

Storm Intensity and Impact

  • Category: 5
  • Peak Wind Speeds: 175 mph
  • Storm Surge: Up to 13 feet (4 meters)
  • Duration at Category 5: 24 hours

This significant duration of peak intensity sets Hurricane Melissa apart from previous Category 5 hurricanes this season, such as Humberto and Erin, which lasted only 12 hours or less at their peak.

Warnings and Preparations

The United Nations has deemed Hurricane Melissa as “the storm of the century.” Jamaica’s climate minister has issued severe warnings regarding the risk of flooding and landslides in light of the hurricane’s expected impact.

  • Hurricane Warning: In effect for Cuban provinces including Granma, Santiago de Cuba, Guantanamo, and Holguin.
  • Hurricane Watch: Active for the Turks and Caicos Islands.
  • Tropical Storm Warning: Issued for Haiti and the Cuban province of Las Tunas.

Emergency Response in Jamaica

In preparation for the hurricane, over 800 shelters have been established across Jamaica. These shelters are designated to accommodate residents displaced by flooding and potential landslides resulting from the storm’s severe weather conditions.

As Hurricane Melissa approaches, authorities are urging all residents to stay updated on the situation and follow safety guidelines to mitigate risk.